
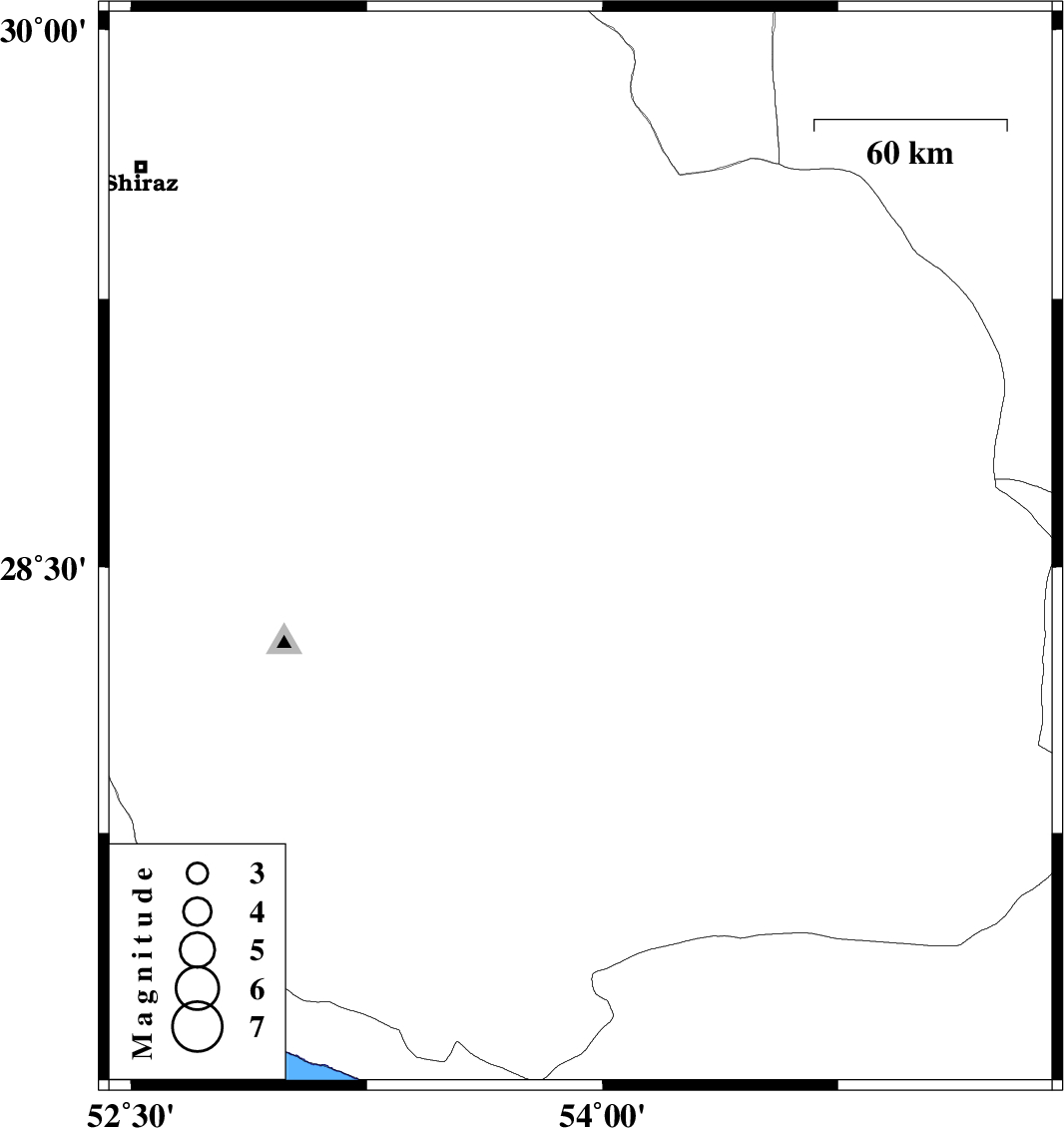
| Prel. Rep. | Date | Time(UTC) | Time(Local) | Lat. | Lon. | Depth | Mag. | Region | Waveform |
| 2019/09/06 | 14:22:50.9 | 18:52:50.9 | 28.55 | 53.93 | 11 | ML3.5 | Fars Province, 37 km -East of Jahrom |
مختصري از چيستى و اهداف بيانيه صيانت از داده ها:
اطلاعات شخصى هر فرد، بخشى از حریم خصوصى وى محسوب میشود. حفاظت بيشتر از حقوق شخصى افراد، نه تنها موجب حفظ امنيت كاربران شده، بلكه باعث اعتماد بيشتر و مشاركت آنها در فعاليت هاى جارى میگردد. هدف از این بيانيه، آگاه ساختن شما درباره نوع و نحوه استفاده از اطلاعاتى است كه در هنگام بازدید از سایت، از جانب شما دریافت خواهد شد.
برخى موارد قانونى در رابطه با حریم خصوصى و صيانت از داده:
پژوهشگاه بین المللی زلزله شناسی و مهندسی زلزله بر اساس ماده 7 تصویب نامه شماره 1127128 شوراي عالی اداري مورخ 1395/12/28 خود را ملزم به رعایت حریم خصوصی همه افراد و كاربران وبگاه دانسته و از كاربران آن دسته از اطلاعات را كه فقط به منظور ارائه خدمات كفایت میكند، دریافت كرده و از انتشار آن یا در اختيار قرار دادن آن به دیگران خودداري مینماید.
اهداف از گرفتن برخی اطلاعات
اطلاعات جمع آوري شده از بازدیدكنندگان، صرفا براي بهبود كيفيت خدمات و محتواي سایت مورد استفاده قرار میگيرند و هيچ بخشی از اطلاعات شخصی شما را بدون اطلاع و اجازه ي قبلی، با فرد یا موسسه دیگري در ميان نخواهيم گذاشت. ثبت نشانی IP شما به ما كمک میكند تا در تشخيص و رفع مشكلات مربوط به سرویس دهنده و كنترل بهتر آن اقدام كنيم.
نوع اطلاعاتی كه از كاربران جمع آوري میشود
چگونگی استفاده از داده هاي جمع آوري شده
تدابير حفاظت از داده ها
پژوهشگاه بین المللی زلزله شناسی و مهندسی زلزله حفاظت و حراست از اطلاعات شخصى شما را امرى بسيار جدى و مهم میداند. همچنين میتوانيد مطمئن باشيد كه از آن تنها بر اساس اصول مطرح شده در این بيانيه استفاده میشود. این سازمان از تجهیزات سختافزاری و نرمافزاری پیشرفته جهت جلوگیری از نفوذ نرمافزارهای مخرب استفاده میکند.
در هرحال تعهدات و مسئولیت های ما محدود به توانایى ها و امکانات ما بوده و ما در قبال اقدامات مجرمانه و یا حوادث و رویدادهاى غيرمترقبه یا اتفاقاتى كه منتسب یا ناشى از اقدامات ما نباشد مسئوليت و یا تعهدى نخواهيم داشت.